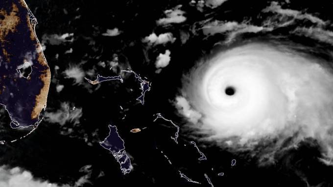
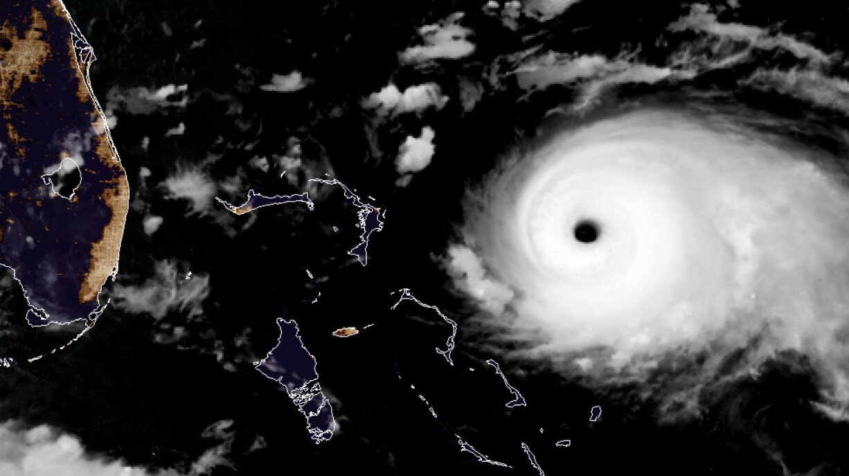
El reaseguro está bien capitalizado para afrontar los daños del huracán Dorian
Las reaseguradoras están experimentando un 'déjà vu'. Y es que, por tercer año consecutivo, Florida se enfrenta a un gran huracán. Tras su paso devastador por Bahamas, Dorian amenaza ahora a la costa suroriental de EE UU, con alta densidad de población.
S&P Global Ratings augura unas pérdidas materiales cuantiosas, pero transmite un mensaje tranquilizador al sector: las aseguradoras y reaseguradoras que operan en EE UU tienen "unos niveles de capitalización sólidos y constituyen una fortaleza clave". En este sentido, explica que el sector del reaseguro "está bien situado para manejar eventos tan severos como lo fue el huracán Irma", que provocó unas pérdidas aseguradas de 30.000 millones de dólares. No obstante, advierte que Dorian puede llegar a ser superior si tocase tierra en Miami, estimándose unas pérdidas aseguradoras de 100.000 millones por posibles destrozos de viviendas y vehículos. De producirse, S&P Global Ratings cree que "se volvería a poner a prueba al sector".
Estas pérdidas a las que se enfrenta el sector, sumadas a las de los años anteriores, seguirán endureciendo los precios del reaseguro en los próximos 12 años.



![[foto de la noticia]](/foto-articulo-fichero_68730_20260408.jpg,310,150,0.jpg)
![[foto de la noticia]](/foto-articulo-fichero_68693_20260406.jpg,310,150,0.jpg)

